Ahne’s building future debated

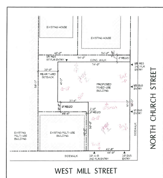
The matter of special use permit requests for a combined business/apartment development at the former Ahne’s Bakery property at 201 W. Mill Street took up the early portion of the Waterloo City Council’s monthly utility meeting Monday night.
As reported last week, this matter was tabled during last Monday’s regular city council meeting and will be taken up again this coming Monday at Waterloo City Hall.
Per an ordinance amendment approved in 2021 when a women’s recovery residence was proposed at the former Rosedale House on Mueller Lane, the Waterloo City Council can either affirm or reverse a zoning board decision.
The Ahne’s Bakery property has sat vacant since a September 2022 fire closed the local treasure for good.
This property was purchased last year by local residents George Obernagel and JP Fitzgibbons, who have proposed to demolish the burned-out bakery and develop the business/apartment complex on this site.
Phase one of the project involves one business office on the ground level with two apartment units above – exactly like the Obernagel/Fitzgibbons development next door involving Adorable Beast pet grooming at 203 W. Mill Street.
Phase two would see one non-street-facing apartment unit on the ground level and up to three apartments on the second floor with either one or two business spaces on the first floor depending on space and tenant requests.
The city’s planning commission voted 7-0 in favor of these special use permit requests, followed by a 3-3 vote from the zoning board that constituted a non-recommendation.
Parking was an expressed concern by small business owners on Mill Street during the zoning board’s split vote.
While there are parking regulations within city limits, those restrictions do not apply in Waterloo’s Central Overlay District. This proposed development falls within that district.
A zoning board member not in attendance at last week’s council meeting who contacted the Republic-Times after the March 4 article ran said he was fully aware there’s no parking restrictions in that portion of town.
“It’s first come, first serve,” Ken Gibbs said.
Gibbs said he voted against recommendation due to too many components involved in that downtown space.
Gibbs also admitted to the paper he believes the matter of parking is “the city’s issue to fix.”
It was not clear what particular times of day are of concern for downtown parking in this area, but this newspaper office at 205 W. Mill Street observes a multitude of parking spaces available during the week in the 200 block of West Mill Street and the 100 block of North Church Street.
While there are no parking regulations for this area of the city, “We can still consider it,” Alderman Jordon Riley stressed during Monday night’s discussion. “The parking issue is what’s going on with this whole building.”
Alderman Tina Charron pushed back by saying she thinks that “if somebody’s gonna have a business there or choose to live there, they know the parking situation.”
Riley countered that the city should represent the businesses and residents who are already there.
Waterloo Zoning Administrator Roberta Rohwedder stressed to aldermen that a restaurant could build in this space and cause more of a parking burden than what is currently proposed.
Alderman Jim Trantham said the former bakery that operated in this space was a limited in-and-out operation with customers quickly buying donuts and leaving.
“They weren’t there all day Saturday, all day Sunday while they’re off work at home, and also weren’t there at night when they get home from work,” Trantham said.
Trantham, whose ward falls within this proposed development, said the public sentiment he has received on this issue has been “very negative.”
Charron countered by saying there’s plenty of parking on North Church and West Mill streets from what she observed driving to this meeting early Monday evening.
The other alderman representing this ward, Jim Hopkins, chimed in by saying he has “not heard a single positive, but a lot of concerns” about this development.
Alderman Joel Vogt said the city could consider two-hour parking limits for certain spots downtown going forward to help alleviate this situation.
“But that’s a holistic downtown issue, not a single parcel issue,” Vogt said.
Vogt also pointed out the developers issued this request as a maximum for this space, meaning the final proposed total of apartment/business spaces over the two phases may not come to be in the end.
“They may not even be able to do it,” Vogt said.
Alderman Gary Most said it’s a density issue.
“You want a vibrant downtown,” he said. “But when you get too many people in one small area, you’re asking a lot of people to live in a very close-knit area together.”
Waterloo Mayor Stan Darter said at this point that “parking is a city issue. It’s not (the developers’) issue.”
Alderman Kyle Buettner chimed in that he views this issue as the planning commission voting 7-0 and the zoning board voting 3-3, equating to the majority of those chosen to serve in favor of it.
“That’s why we have these commissions,” Kyle Buettner said. “I see no reason to overrule them.”
Alderman Riley countered that this issue is now in the hands of the city council.
“This means it’s time for us to make a decision, and we can use whatever information we want to look at to do that.”
Alderman Matt Buettner said the larger conversation in this matter is whether the city is OK with continuing to have a burned-out shell of a building in which “we’re all tired of looking at, tired of talking about.”
With this matter set to be voted upon during Monday’s council meeting, Darter said he expressed concern about a possible 4-4 vote amongst aldermen – meaning he would be forced to cast the deciding vote.
“There hasn’t been a vote by a mayor in more than 20 years,” Darter said.
“But that’s what the mechanism is for,” Kyle Buettner replied.
Monday’s meeting is open to the public and begins at 7:30 p.m. at City Hall.